Land.In.Sicht
Büro Dr. Paula
Zurück

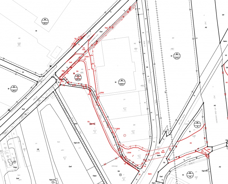
Digitaler Flächenwidmungs- und Bebauungsplan Laxenburg

Da der alte digitale Flächenwidmungsplan der Marktgemeinde Laxenburg nicht mehr der derzeit geltenden NÖ Planzeichenverordnung entsprach und die Katastergrundlage aus dem Jahr 2001 nicht mehr die erforderliche Aktualität aufwies, wurde eine digitale Neudarstellung des Flächenwidmungsplans auf Grundlage der Digitalen Katastralmappe 2008 durchgeführt.

Auf Basis dieses neuen digitalen Flächenwidmungsplans wurde auch der digitale Bebauungsplan neu dargestellt.

Gleichzeitig wurden die Pläne in einigen Punkten abgeändert. So wurde beispielsweise die neue A2-Anschlussstelle IZ-Süd in den Flächenwidmungs- und in den Bebauungsplan eingearbeitet.

Der Gemeinderatsbeschluss erfolgte am 8. August 2011. Die neuen Pläne sind bereits rechtskräftig.